Как да се справим с пигментните петна (кожни, хормонални проблеми и др.)-7

  • 139 498
  • 738
  •   1
Отговори
# 120
  • Мнения: 946
Цитат
Все се каня да ви питам, изсветляват ли ви петната през зимата? При мен януари вече почти не се забелязват, без никакви избелващи кремове или терапии.

Моите изсветляват, защото ги третирам.

Някой да е ползвал ето този крем на Collagena? http://www.bioline.bg/%D0%B4%D0%B5%D0%BF%D0%B8%D0%B3%D0%BC%D0%B5 … D0%BD%D0%B8%D1%8F

# 121
  • Мнения: 4 076

При мен нямаше абсолютно никакъв ефект.

# 122
  • Мнения: 946
LilaC, петната ти хормонални ли са или от слънцето?

# 123
  • Мнения: 261
Колко време трябва един депигментиращ крем за да започне да има някакъв видим ефект?

# 124
  • Мнения: 43 692
Има да чакаш! Tired

# 125
  • Мнения: 946
Според мен зависи от крема, петната и типа кожа, но не по-рано от 2 седмици за да се видят първи резултати.

# 126
  • Мнения: 4 076
LilaC, петната ти хормонални ли са или от слънцето?
Лекарите не знаят.Имам доста неща,които могат да ги предивикат:анемия,стрес,леки бъбречни проблеми,наследственост..Като цяло,хормоните ми са добре.Дали е от слънцето,не мога да съм сигурна.

# 127
  • Мнения: 946
ТСА има свойството да изважда петната на повърхността, така че се надявам да ги преборя този сезон.

   Не разчитай на това, че ги изважда на повърхността. При мен от първия ТСА пилинг ми се изчистиха всички петна по челото и за пръв път от години го виждах с такава хубава кожа. Само след няколко седмици отново избиха.

LilaC, мерси за инфото!

# 128
  • Пловдив
  • Мнения: 1 158
ТСА има свойството да изважда петната на повърхността, така че се надявам да ги преборя този сезон.

   Не разчитай на това, че ги изважда на повърхността. При мен от първия ТСА пилинг ми се изчистиха всички петна по челото и за пръв път от години го виждах с такава хубава кожа. Само след няколко седмици отново избиха.

LilaC, мерси за инфото!

за това се прави серия от пилинги  Peace
аз правих два ТСА доста дълбоки зимата а лятото продължих с т.н летен бадемов пилинг.... и има ефект определено

# 129
  • Мнения: 3 108
А каква е ролята на слънцезащитата, след като петната пак избиват?
При мен това лято излязоха на челото, а мазах постоянно 50+..
Нямам проблем с хормоните, ако приемем, че защитата реално пази, от какво може пак да стават?

# 130
  • Мнения: 2 440
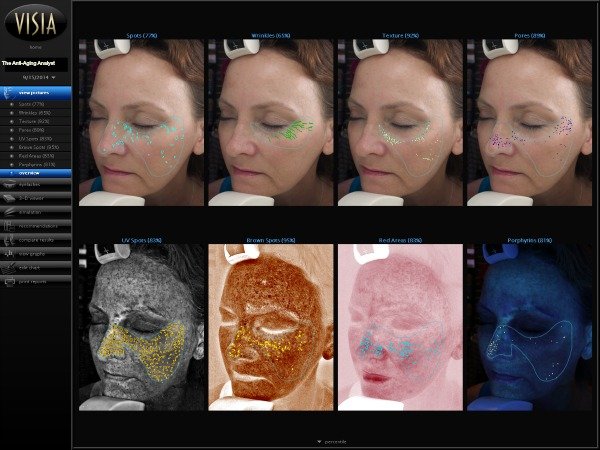
Има различни причини, влияещи на процеса на образуването на петна.
Аз си правих снимка под поляризирана светлина и там се виждат признаците на стареене и зараждането на петната под повърхността на кожата. Има серуми, за които казват, че влияят именно на тези под повърхностни, зараждащи се петна.
Не знам от серума ли, или от третирането с пилинги, сега тези петна са по-малки, но пък на повърхността ми са по-големи, по-разлети и по-светли петната. Преди пилингите ми бяха едни малки точици на повърхността, по отдолу се виждаха големи сенки. Сега се надявам с една серия пилинги през студените сезони да се махнат съвсем.

Ето една серия от снимки, най-вляво, на долният ред в синьо е снимка под поляризирана светлина и се виждат петната, които нормално на лицето не са се появили още:
Скрит текст:

# 131
  • Мнения: 3 108
Благодаря ти  bouquet
Къде прави снимката и кои са тези серуми?

# 132
  • Мнения: 430
Здравейте, искам да добавя към продуктите и Скинкод алпин white дневен крем и нощна маска. Ползвам ги от две седмици и доста изсветлиха тена, петната избледняха, но неочаквам чудеса. Родих преди две години имам и хормонални проблеми, а съм и на 38г. Май няма лесно да изчезнат, вече 1,6г си ги нося на слепоочията и малко на челото. Появиха се въпреки, че се мажа непрекъснато с 50 фактор първо на галеник, после филорга.
Като измажа Скинкод ще пробвам китайското чудо.

# 133
  • Мнения: 43 692

furchi, добре дошла в отбора!

# 134
  • Мнения: 2 440
El_83 , това не са мои снимки. Тези са от нета.
На моите си личи, че петната са като айсберги. Точица на лицето, а отдолу се разширяват и са много по-големи.
Аз съм в Канада, серумът е  Time in a bottle - Philosophy, тази фирма прави такива снимки, но май и повечето други предлагат такова диагностициране на сътоянието на кожата.
Не мога да кажа, че от техният серум се повлияха. По-скоро е комплексно и се дължи повече на пилингите.
Аз съм на мнение, че това е дерматологичен проблем и не може да се лекува с козметични средства (кремове и т. н. от козметичната индустрия). Трябва си лечебно средство.

Относно китайските кремове - след почти месец използване, аз не виждам разлика, а освен това взеха да ми се появяват едни големи, плоски пъпки, с нещо като бяла течност вътре. Не са милиуми - по-големи и плоски са. Затова прекратявам с тях.

Общи условия

Активация на акаунт