Любители на кучета - 113

  • 31 128
  • 750
  •   1
Отговори
# 735
  • под тепетата
  • Мнения: 11 479
Определено е ловджийка и някой се е опитал може би заради това да и реже опашката. Само е осакатил горкото животно. Мисля, че варени моркови ще и се отразят добре, а ядките най-вероятно ще раздразнят червата и стомаха.
 Оздравявайте и двете, Djaky!

# 736
  • Мнения: 516
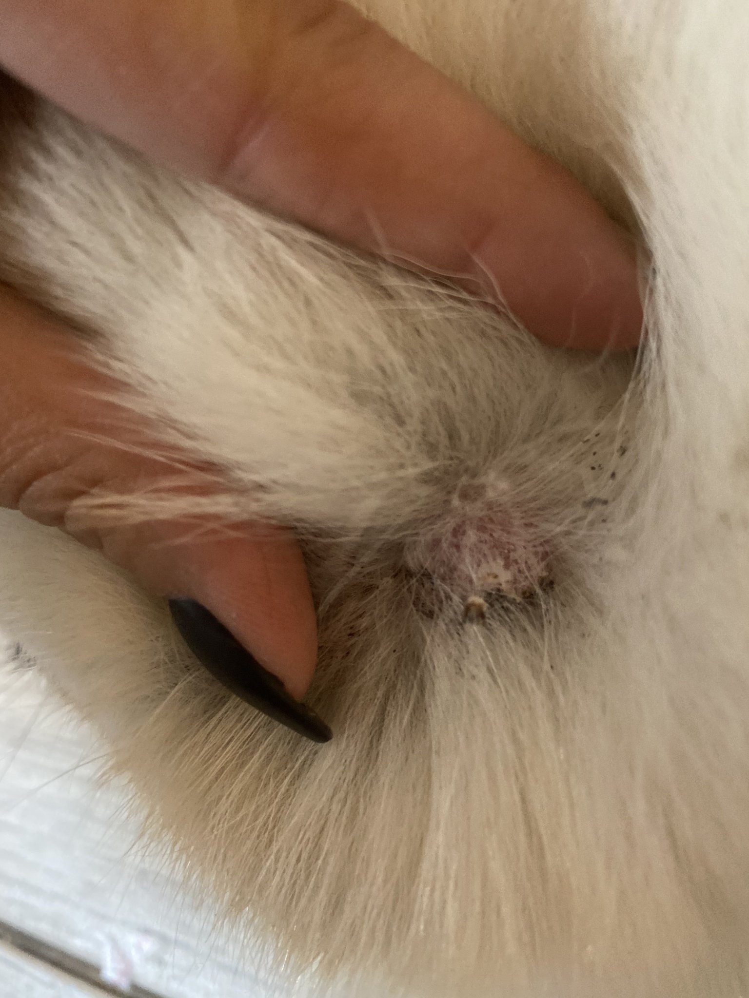
На 28 януари сутринта забелязах, че Кио има кръв по бузката 3-4 пръста под ухото. Мислех, че е имала кърлеж, но такъв не открих. Почистих раната и реших, че просто се е разчесала по-сериозно или котарака отново я е възпитавал. Раната хвана коричка и се обели, но не зараства... започвам да се съмнявам, че е било рана. Звънях да запазя час в клиниката, но никой не вдига, ако и утре не успея да се свържа, ще отида направо на място. Гнусливите да не отварят снимките.

Скрит текст:



Какво мислите, че може да е?

# 737
  • тук-там
  • Мнения: 7 188
Идея нямам, но веднага бих я завела при вет. Успех!

# 738
  • Мнения: 150
Djaky, нямам думи да опиша огромното възхищение, което изпитвам към теб! Разплаках се като четох, хората не заслужаваме кучетата. Дано се освести тази мила душица и да усети какво е обич и грижа Heart Приеми моите адмирации, прекрасна си! Flowers Tulip

# 739
  • Мнения: 3 232
Djaky, нямам думи да опиша огромното възхищение, което изпитвам към теб! Разплаках се като четох, хората не заслужаваме кучетата. Дано се освести тази мила душица и да усети какво е обич и грижа Heart Приеми моите адмирации, прекрасна си! Flowers Tulip
Благодаря ти,  ризнавам си, че се поколебах, но тя просто щеше да умре, клатушкаше се на краката  си,  не бях виждала такова нещо. Решихме,  направихме го. И аз много се разстроих снощи, сякаш Бог ни изпитва докъде ще стигне лошотията ни.
Спокойна нощ на всички!

# 740
  • Мнения: 2 884
Респект към благородната постъпка на Джаки!!!Чета ви....усмихвам се,радвам се, ядосвам се,скърбя с преживяванията на всички тук...А мъничките новодошли и осиновени са прекрасни!Лори направи своя 7 - ми полет със самолет./Този път нямаше директен , та с прекачване летяхме😥/Юначното ми момиче...Поздрави от нас , вече на немска земя.

Последна редакция: сб, 13 фев 2021, 20:01 от Roo Roo

# 741
  • тук-там
  • Мнения: 7 188
Браво на Лори! Колко кг е тя? Хубаво е, че може да пътува със самолет. Това е голямо предимство!

# 742
  • Мнения: 2 884
Браво на Лори! Колко кг е тя? Хубаво е, че може да пътува със самолет. Това е голямо предимство!
Браво на Лори! Колко кг е тя? Хубаво е, че може да пътува със самолет. Това е голямо предимство!
 Лорчо е дребосък.9 килограма...А като я осинових от Кърджали, на 5 месеца беше, с крачета клечици .Една от първите и снимки  Да, добре че понася безпроблемно пътуванията, не и става въобще лошо...Късмет...Но стресът е голям, уви!Не разрешават в кабина, с нас.Надвишава допустимите кг.И пътува при багажа, в клетка/ карго😥

Последна редакция: сб, 13 фев 2021, 20:11 от Roo Roo

# 743
  • тук-там
  • Мнения: 7 188
О, много жалко! Хем е малка, хем в багажното! Но поне е свикнала вече! И в немско голям сняг, който дойде и при нас.

# 744
  • Мнения: 2 266
Браво на Лори! Колко кг е тя? Хубаво е, че може да пътува със самолет. Това е голямо предимство!
Браво на Лори! Колко кг е тя? Хубаво е, че може да пътува със самолет. Това е голямо предимство!
 Лорчо е дребосък.9 килограма...А като я осинових от Кърджали, на 5 месеца беше, с крачета клечици .Една от първите и снимки  Да, добре че понася безпроблемно пътуванията, не и става въобще лошо...Късмет...Но стресът е голям, уви!Не разрешават в кабина, с нас.Надвишава допустимите кг.И пътува при багажа, в клетка/ карго😥



Това е ужасно за кученцата.Аз за това не искам да вземам Райли с нас в Бг и поради тази причини не можем да си ходим тримата,а си ходим на разделно.При други хора също ме е страх да я оставям,на хотел-също.Бих я оставила само на едни приятели,но за съжаление те се преместиха в друг щат.

# 745
  • Пловдив
  • Мнения: 2 592
Ееех, тази българска грация Лори пак остави родните земи да краси немската! Вие сте щастливци, Roo! И на двете места има природа, поляни, свобода! Sunglasses Малку завиждаме тук ние, ама съвсем благородно.

Днес бяхме на гости на родителите ми цял ден. Емоция голяма за Шошото. Пред тях не е мръсно и пълно с останки на храна, а Ботаническата градина е точно пред блока им. Пуснахме го за малко - голямо тичане на свобода беше. Не му се идваше много като го извикам (не искаше да слуша), но се скрихме във входа и той след малко се появи на вратата и влезе сам във входа. Броим го за успех.

пак съм аз- щото никой не писал
И ние имам сняг! Сутрешна 10 минутка

Последна редакция: нд, 14 фев 2021, 07:47 от иланг - иланг

# 746
  • Мнения: 5 425
Чернеем на бял фон.


И честит Свети Валентин на всички дами!

Последна редакция: нд, 14 фев 2021, 09:05 от Ezhko

# 747
  • Мнения: 3 397
А при нас само сух студ. Няма и изгледи за сняг скоро, ама в нашия край е така. На всякъде като се стопи снега ше дойде и при нас 😁

Залавям се да правя колаж и да подготвя новата тема.

# 748
  • sofia
  • Мнения: 3 708
Добрютро от снежна София:


# 749
  • Мнения: 3 252
И ние доживяхме да видим сняг в Стара Загора 🥳
До сега бяхме навън, ама нямам снимки,че излезнах без телефон,но довечера ще направя.
Много хубави снежни снимки 😍

Общи условия

Активация на акаунт