Строеж - къде, как, колко? Тема за взаимопомощ 38

  • 46 835
  • 1 032
  •   1
Отговори
# 780
  • София
  • Мнения: 8 637
И аз да кажа, че на паветата нищо им няма - те за това са правени, все пак Simple Smile Само трябва да се трамбова добре под тях.
На мен ми беше мечта прозорец в банята - проветрението през него е незаменимо. За вентилация си има отдушник с вентилатор - лятото не го ползвам изобщо, но зимата с прозореца само подпомагам отвеждането на влагата.* Не мисля, че проблемът със студена баня идва от прозорчето (в другите стаи да не би да няма прозорци) Wink Ние се топлим на ток и сме сложили един конвектор на Atlantic, а под плочките на пода имаме инфраред фолио (пак на ток), което и отоплява учудващо добре , но не е никак икономично и не го държим постоянно пуснато. Ама пък как хубаво съхне пода след баня... Засега нямам проблем с това, че банята зимно време е по-студена, а ако заимам - ще си програмирам конвектора и/или подовото, ще си плащам да ми е топло и това е Simple Smile
*Някой да препоръча хубав, ама много хубав вентилатор за баня? Нашият не ми харесва как се справя (помещението се запарява, а след това бавно изчезва влагата - без прозореца би било ужас); банята е 5 м2, 2.60 височина.

# 781
  • Пловдив
  • Мнения: 3 274
Тoni,съвсем скоро обсъждаха вентилатори в темата за баните.Ако не е там ,значи в интериорната.
А,в банята на свеки е ледник,защото прозорчето стои отворено поне 50%от времето.

# 782
  • Мнения: 171
Кате,сега те разбрах...
Относно павираната настилка ,нищо няма да и стане.И да хлътне някое паве,много лесно се вади,малко пясък под него и пак се поставя.

Аз държах на прозорци в баните,но не за проветрение,а за светлина...

Благодаря, Нели! 🤗 Да, това рамо исках да обясня..🤣
Добре, няма проблем съответно, че ще има само 3м. до съседа.
За баните и аз държах на малки прозорчета!
Скрит текст:
Понякога на ниските етажи мирише от канализацията, дори и с канал с воден затвор..нещо от налягането във външната среда май обясняват като причина..и знам, че вентилатора не върши достатъчно работа. Предпочитам свеж въздух чист от вън. Предвидила съм подово..проветрявам за 5 мин..и нито ще има влага и пара, нито ще ми бръмчи вентилатора, после ще се затопли. Отделно е предвидена много дебела топлоизолация 🤦‍♀️, та трябва да не е проблем студа. И не на последно място,преди време бях проучвала има едни отвори, които се инсталират на дограмата горе и понякакъв начин регулилат влизането на чист въздух..отварят се и затварят сами. Отчитат влажност, температура..  дано ги намеря като стигна до това.

# 783
  • София
  • Мнения: 8 637
Ааа, да, тъкмо сестра ми обясняваше за такива миналия ден. Те ще слагат, направо фирмата с дограмата ще им доставят едното крило с такъв (за мазето ще им е, а на тях там ще им е мокрото помещение).
Мерси, Нелина, ще проверя темата за баните (близко до акъла, ама то трябва да го имаш) Simple Smile

# 784
  • Мнения: 5 918
А някой строил ли е на труднодостъпен терен?
При нас майче ще е такъв, защото "улиците" са под голям наклон, тесни са, и са силно казано улици. На повечето места има някакъв остатък я от асфалт, я от някаква импровизирана настилка, но в 90% са неравно оформен кърски път.
До нас (в града) сега строят една кооперация и като гледам бетоновоза и бетонпомпата, ми изглежда невъзможно да стигнат.
Засега само един 22т. багер е влизал, за да разчиства и заравнява, но и той с малко зор и брулене на дървета дойде.
Другата седмица имаме първа среща с проектант и ще помолим да ни препоръча строителни фирми от района, да ги разпитаме.
Но се чудя, в случай, че не е достъпно за тежкотоварни машини, какви са опциите?

Последна редакция: пн, 25 окт 2021, 16:33 от Rocket

# 785
  • Мнения: 19

Здравейте,
Имам казус с проектирането и ако може някой да даде съвет ще съм много благодарен.
Теренът е ъглов, с лека денивелация към двете улици, които се падат съответно на югоизток и североизток, като най високата част на двора се пада югозапад, а най ниската североизток ( точно където би трябвало да е къщата). Там дори е на около 80 см под пътя.
Архитекта предлага да направим сутерен с подземни гаражи, за да вдигнем кота 0 с около 2 метра, обаче аз се притеснявам от влага и студ, а и подхода към гаражите се получава с наклон от към улицата и обмислям варианта дали просто да не направя високи основи (все едно сутерен) и да го заровя, а отстрани да направя гараж. Според него така няма икономическа логика ( с което съм напълно съгласен), но протесненията ми са основно от влага и студ.
Прикачал и два варианта на ситуация за да се ориентирате.
[/img]

# 786
  • София
  • Мнения: 2 570
Кате, питането ми за 5-те метра беше във връзка с това, че искам късна есен и напролет да заложа основи на градината Simple Smile Ще набучкам аз дръвчета и китки, не мога да се стърпя, сърбят ме ръцете!
Нашите улички също са тесни, но поне е равно. За бетонпомпата Нелина е обяснила.
В събота вадихме старите заварени основи, багерът мина на косъм през вратата, която не сме правили ние. Ще я разширим (като получим ел.енергия) А камиончето беше на улицата и много бързо и удобно работиха.


И детето също поработи Simple Smile
 

Май доста ще се полутаме между градинарската и строителната тема Wink

# 787
  • Пловдив
  • Мнения: 3 274
Хорхе,не е много тази денивелация.
Не сме имали подземен гараж,да да преценя минусите му,обаче дори и да вдигнете къщата, улицата,както виждам,е по-висока от  парцела и отново би създала проблеми с наводняване.Ние насипахме едни 50см пръст,защото и при нас ,положението бе подобно,макар и с по-малка денивелация.

София,много се смях.Нали съм си руса,в първия момент помислих,че Фермата е някъде до вас Simple Smile .Изобретателен малчуган.Поздравявам те,че подхождаш с мисъл за озеленяването.

# 788
  • Мнения: 19
Nelina,
Повдигането на кота 0 е с около 2 метра до- 695,7 м,  за да изравним с най-високата част на двора, а улицата в момента е 694 м
Общо взето ще построя сутерен и ще го заровя, разликата е в една плоча.
Въпросът е ако го оставим, дали няма да си създам главоболия с него, откъм влага и студ.

# 789
  • Мнения: 171
Ааа, да, тъкмо сестра ми обясняваше за такива миналия ден. Те ще слагат, направо фирмата с дограмата ще им доставят едното крило с такъв..

ToniShu, вентилационни отвори на дограмата ли? Може ли да ми кажете после доволни ли са? Снимки ако има? Фирма..всичко? 😁🙈🤣
Скрит текст:
Нели, и при мен така както изглеждаше равен терена за мен 🤣, след окосяването и геодезическата снимка се оказа, че изобщо не е равен и е по-ниско от улицата. Наклона е диагонално и взависимост в коя част е разположена къщата разликата стига до 1,2м. 🤷‍♀️. За капак понеже искаме да е по-голям двора в южната и югоизточната част, в североизточната е и без това голям, че има хубав орех, който не искам да отрежа 🙈 се оказа, че къщата ще е в най-ниската част на парцела.. 🤷‍♀️Архитекта не хареса ореха, предложи да го махнем, за да изтеглим по-назад къщата, но аз не исках. 😇. А и гаража искам да е плътно залепен за улицата и този вариант отпадна.
Няма да имам сутерен обаче. И мен ме е страх от влага. Предпочитам само основи. С хубава хидроизолация и дренаж..не би следвало да има проблем.
Архитекта обясни, че ивичните основи не пречат на разликата, а после ще се насипе и изравни с пръстта която са изкопали. Ако не стигне ще се купува още.. 🤷‍♀️
София, детето явно е щастливо! 😊 Иначе аз схванах, че питането е заради дърветата..но се вкарах във филм профилактично с метрите, да не би да пропусна нещо толкова важно, че ще е голям цирк после. 🤦‍♀️

# 790
  • Мнения: 45
Ех,хората сме много различни!
Ние държахме да няма тераси,защото ще са неизползваеми и само ще ги чистя.Ако искам да чета книга или пия кафе,вино или коктейл,винаги го правя на верандата.Свекърва ми,много си държи на терасите и ги ползва единствено,за да си реше косата и да си проверява завивката.
Обаче,ето,  има хора,които искат да излизат на терасата.
Един голям прозорец от юг  е повече от достатъчен,за да е много светло.Ако има такъв и от запад,освен че лятото ще е много тежко се замислите какви мебели може да поместите в стаята с две неизползваеми стени.
Имаме приятел в Беломорски и така както бе крайна къща,а срещу него бе предвидено за парк,се оказа,че сега ще построят комплекс от къщи и единствената му гледка към планината ще е от покривната тераса на 3ти етаж.
кате,аз нещо се обърках и не разбрах.Питането бе дали през 5м.може да мине машина и отговора ми бе "да".Не мога да асимилирам това с 3те метра.

Така ще стой ако няма прозорци към запад,а на нас така не ни харесва

# 791
  • Мнения: 45
Много ми харесва проекта!
Идват ми малко повече терасите и входа за коли не ми харесва като позиция, но явно няма много опции, предвид гледката и позицията на парцела
Да няма как да се направи от другаде подход към къщата,защо от там ни е гравния път.

# 792
  • Мнения: 45
След като архитектът е готов да внася в общината, значи всички проектанти са приключили работа. Ако искате мнение за проекта, поне според мен, трябва да качите също така разпределенията и да кажете как е ориентирана къщата и къде е транспортния и пешеходен достъп към имота.
[/img]
Това е разпределението  вътре.

# 793
  • Мнения: 7 779
Кате, питането ми за 5-те метра беше във връзка с това, че искам късна есен и напролет да заложа основи на градината Simple Smile Ще набучкам аз дръвчета и китки, не мога да се стърпя, сърбят ме ръцете!

Май доста ще се полутаме между градинарската и строителната тема ;
Няма смисъл да садиш каквото и да било. Като влизат разните машини всичко ще изровят, бутнат и смачкат. При изкопите ще изникнат огромни могили от пръст, която също ще се чудиш къде да сложиш, докато дойде време за запълване и заравняване на двора.
Има време за градинките. Първо строеж, после пътеки и тогава озеленяване. Единствено ако предвиждаш поливна система, то следва още на етап ископи и вкарване на водопровод, това нещо да се предвиди. Може да си възложиш ланшафтен проект на фирма за озеленеване, за да си наясно къде трабва да са изводите за водата и къде трябва да минават тръбите. Самите проекти не са скъпи, но изпълнението и после поддръжката е яко разходи. Ние имаме такъв проект, но така и не го изпълнихме точно заради безумните цени.

Последна редакция: вт, 26 окт 2021, 06:45 от fatalina

# 794
  • Пловдив
  • Мнения: 3 274
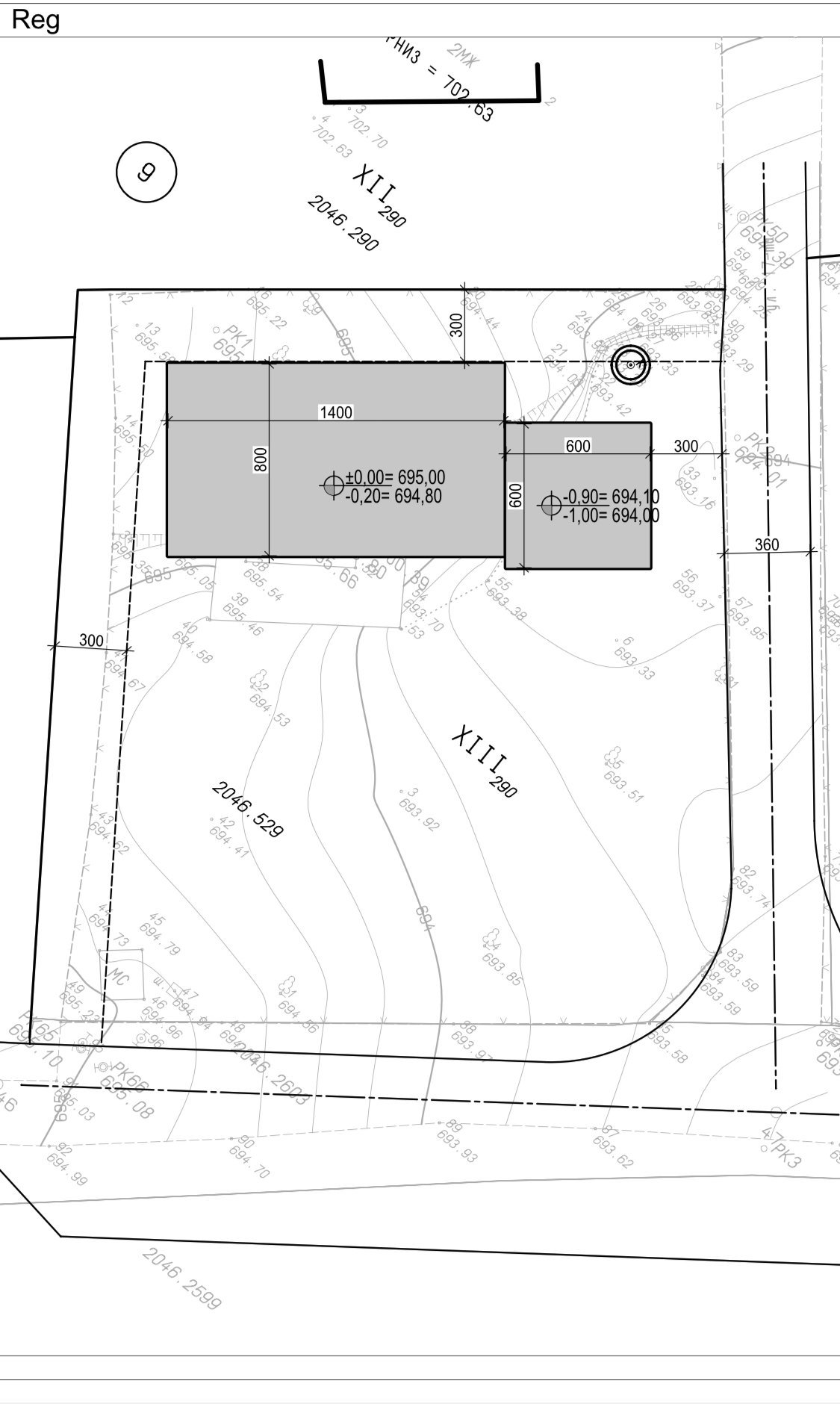
Хорхе,аз нещо трябва да не съм в ред.Целта не е целият парцел да се изравни,а да може да имате гараж,който да е на нивото на улицата и къща,която да е по-висока от нивото на парцела.Гаражът може да има стълбички към къщата.
На този план се вижда,че къщата е на 695  и не виждам никакъв проблем,в това,че пътят е по-нисък.Това заснемането ли е или изработена вертикална планировка?

Общи условия

Активация на акаунт